土地

金沢市藤江北3丁目

50坪以上

建物解体更地渡しです。建築条件はありません!
大阪屋ショップが直ぐ、近隣商業施設充実しています♪

・大阪屋ショップ[大徳店]まで徒歩5分(約350m)
・ファミリーマート[金沢藤江北店]まで徒歩4分(約250m)
・金沢西病院まで徒歩14分(約1000m)
・クスリのアオキ[藤江南店]まで徒歩3分(約240m)
・北陸銀行[大徳支店]まで徒歩10分(約700m)
・金沢松村町郵便局まで徒歩11分(約750m)
・ニコニコ保育園まで徒歩12分(約850m)

物件概要

所在地 金沢市藤江北3丁目 価格 2,300 万円
交通

IRいしかわ鉄道 金沢駅 バス19分乗車 バス停「藤江北」 まで 徒歩6分

バス停「藤江」 まで 徒歩5分

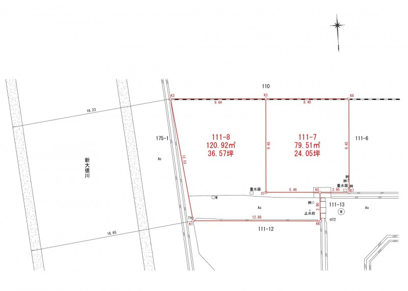
土地面積 公簿 199.92㎡(60.47坪)
小学校区 大徳 (1000m ) 中学校区 大徳 (1200m )
セットバック 無し 私道負担 なし
土地権利 所有権 建築条件 なし
地目 宅地 都市計画 市街化区域
用途地域 1種住居 用途地域2
建ぺい率 60% 容積率 200%
上水道 公共 下水道 公共
ガス 現況 上物有
取引態様 仲介 明渡 予定 2026年2月 以降
設備・条件 側溝
備考 ●地役権設定があります(電線路の施設)。
●売主にて境界確定・上水道整備工事を行います。※別途、施設負担金77万円(税込)が必要です。
●前面道路は開発道路(42条1項2号)※所有者は個人です。
●東側は建設省所有の道(登記上は公衆用道路・用悪水路)。
不動産用語集

弊社では、売主様に配慮し、物件所在地を掲載していない物件がございます。
詳細については、お気軽にお問合せください。

(物件番号: 1003398)

【更新年月日】2025年12月22日
【次回更新日】2026年02月22日

周辺地図を確認する

LOGIN会員ログイン

メールアドレス
パスワード

パスワードを忘れた方はこちら

SEARCH物件検索

種別を選択

エリアを選択

価格を選択



こだわり検索

石川県金沢市北部の不動産売買情報

無料相談・お電話窓口

HPを見たと言って、お気軽にお問い合わせください!

076-204-7160

営業時間:9:00~18:00 / 定休日:水曜日

〒920-0015 石川県金沢市諸江町上丁459-1